Las autoridades habilitaron más de 800 refugios, aunque algunos sufrieron daños por la intensidad de los vientos. La rápida intensificación de Melissa, que pasó de tormenta tropical a huracán categoría 5 en menos de 48 horas, ha sido atribuida por los meteorólogos a las altas temperaturas del Océano Atlántico, un factor vinculado al cambio climático. La Secretaría de Relaciones Exteriores de México emitió números de emergencia para los connacionales en Jamaica, Cuba, Haití y República Dominicana, y mantiene comunicación para ofrecer apoyo consular. Se pronostica que Melissa continúe su trayectoria hacia el sureste de Cuba y las Bahamas en los próximos días.
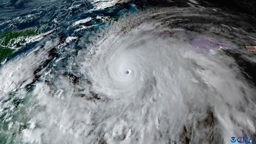
Huracán Melissa impacta Jamaica como categoría 5 causando devastación
El huracán Melissa, catalogado como categoría 5, tocó tierra este martes en la costa suroeste de Jamaica, convirtiéndose en uno de los ciclones más potentes en la historia de la isla. Con vientos sostenidos de hasta 295 km/h, el fenómeno meteorológico ha causado una "situación catastrófica", dejando un saldo preliminar de al menos nueve muertos en la región del Caribe, tres de ellos en Jamaica. El impacto, ocurrido cerca de New Hope, ha provocado inundaciones, deslizamientos de tierra y daños generalizados en la infraestructura. Más de 1.5 millones de personas se han visto directamente afectadas, con cortes masivos de electricidad y el desbordamiento de al menos 45 ríos. El primer ministro, Andrew Holness, declaró el estado de emergencia nacional, advirtiendo que "no existe infraestructura en la región que pueda soportar una categoría 5".



Artículos
5Sociedad
Ver más
Durante la audiencia inicial contra los ocho implicados por el asesinato del alcalde de Uruapan, Carlos Manzo (Jorge Armando “N”, alias El Licenciado y siete escoltas) la Agencia de Investigación Criminal (AIC) determinó que el director de la Policía Municipal, Demetrio ‘N’, fue quien disparó contra el joven de 17 años (Víctor Manuel ‘N’ que asesinó al edil), a pesar de que se encontraba sometido y desarmado.De acuerdo con videos peritajes que fueron presentados, Demetrio ‘N’ tomó la pistola del homicida del suelo y la accionó directamente contra el menor. Se detalló que el disparo lo realizó a menos de 30 centímetros en el pecho del autor material, no más de 13 segundos después de que el joven disparara seis tiros a Carlos Manzo.TE PUEDE INTERESAR: Escolta de Carlos Manzo escapa justo cuando siete fueron detenidosTambién quedó en evidencia que, el paramédico, que además atestiguó la ejecución extrajudicial, reveló que tras dispararle al homicida de Manzo, los escoltas le impidieron brindarle los primeros auxilios y en su caso la reanimación.Esos sólo fueron algunos de los elementos que presentó la fiscalía de Michoacán en la audiencia inicial que comenzó a las 5 de la mañana y duró casi 8 horas, donde el Juez de Control dictó prisión preventiva oficiosa a los ocho imputados, pero será el próximo miércoles cuando se defina si son vinculados a proceso. La audiencia fue celebrada en juzgados del Poder Judicial del estado de Michoacán, ubicados en el penal de Mil Cumbres, Morelia. Sin embargo, los siete escoltas de Carlos Manzo detenidos el viernes quedaron recluidos en el Centro de Custodia de Alto Impacto, mientras que Jorge Armando ‘N’, alias ‘El Licenciado’, presunto integrante del CJNG, seguirá preso en el penal de El Altiplano.TE PUEDE INTERESAR: ‘Cuando leas esto, yo estaré muerto’, revelan carta póstuma de implicado en homicidio de Carlos Manzo2 MILLONES DE PESOSFuentes de la Fiscalía General del Estado (FGE) de Michoacán indicaron que el asesinato de Manzo fue ordenado por líderes del Cártel Jalisco Nueva Generación (CJNG) en Michoacán, quienes ofrecieron el pago de 2 millones de pesos para el ataque armado contra el edil independiente de Uruapan.De acuerdo con las declaraciones de los ocho implicados, se mencionó a figuras centrales del cártel como lo son Nemesio Oseguera Cervantes, El Mencho, y Raúl Álvarez Ayala, alias El R1. Según se relató, éste último mantuvo comunicación con los tres sicarios jóvenes que llevaron a cabo la ejecución.La fiscalía de Michoacán dijo que, Jorge Armando ‘N’ habría rendido su declaración en sus oficinas, poco antes de ser trasladado bajo un fuerte operativo de seguridad de la Secretaría de la Defensa Nacional, la Secretaría de Marina y la Guardia Civil al penal de El Altiplano.(Con información de El Universal)

URUAPAN.- Las averiguaciones sobre el asesinato de Carlos Manzo continúan, pues se difundió una supuesta carta póstuma que dejó Ramiro “N”, uno de los presuntos implicados en el crimen. En la carta, Ramiro “N”, confesó que trabajaba para “El Licenciado”, autor intelectual del homicidio y que se encuentra preso. El hombre que escribió la carta […] La entrada Filtraron carta póstuma de implicado en asesinato de Manzo: Cuando leas esto, yo estaré muerto se publicó primero en Impacto Noticias.

La víctima, identificada como Humberto B., ex candidato a la alcaldía de manera independiente, perdió la mientras recibía atención en el Hospital General de Tlaxcala Rommel PICHARDO Un hombre murió la tarde-noche de este sábado 22 de noviembre después de ser atacado a balazos en la comunidad de Santa Cruz Aquiahuac, perteneciente al municipio de […]

*El ataque ocurrió a pocos metros de un cuartel de la Guardia Nacional y horas antes de la visita oficial de la presidenta Claudia Sheinbaum al puerto de Veracruz Redacción/Sol Veracruz Veracruz.– El líder indígena, exalcalde y exdiputado de izquierda, Juan Carlos Mezhua Campos, fue asesinado a balazos la mañana de este 23 de noviembre […] La entrada Asesinan al líder indígena y exalcalde Juan Carlos Mezhua en Zongolica se publicó primero en Periódico Sol Quintana Roo.






